Workbook Canino
Ficha Técnica
Nome Completo
Estrangeiro
Raça
Sexo
RG
Registro Extrangeiro
Data de Nascimento
Microchip
Nome do Pai
Nome da Mãe
Criador (Canil)
Condutor
Documentos
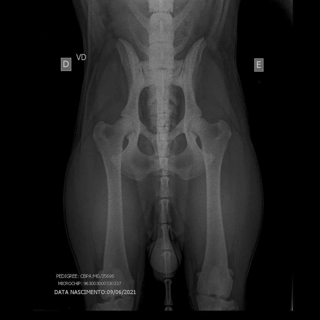
Raio X
Exame Genético
Pedigree
Carteira de Vacina
Participação
Títulos Conquistados
#
Premio
Objetivo
1
IGP-3
IGP - Titulação obtida na modalidade IGP3
Raio X
Exame Genético
Informação não compartilhada pelo resposável
Pedigree
Vacinação
Informação não compartilhada pelo resposável